Bilgi Bankası
İKİ NOKTALI KIRMIZI ÖRÜMCEK
SEBZELERDE BEYAZSİNEK
SEBZELERDE YEŞİLKURT
BİBERDE BOZKURT
BİBER GAL SİNEĞİ
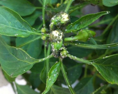
BİBERDE YAPRAK BİTİ
BİBER KÜLLEME HASTALIĞI
Ana
Sayfa
Bilgi
Bankası
Soru
Gönder
Sektörel
Haberler
İlan
Servisi
Üye Girişi / Üye Ol
Ana Sayfa
Taleplerim
Yeni Talep Oluştur
Taleplerim
Soru Gönder
Yeni Soru Gönder
Sorularım
Haberler ve Videolar
E-Analiz
Fruit Export
Talep Gönder